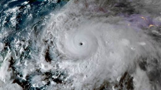
Avión cazatormentas se metió en el ojo del huracán Melissa y revelaron las impactantes imágenes

Un avión militar de los Estados Unidos consiguió grabar imágenes del ojo del huracán Melissa, que actualmente se encuentra en categoría 5 con vientos que alcanzan...